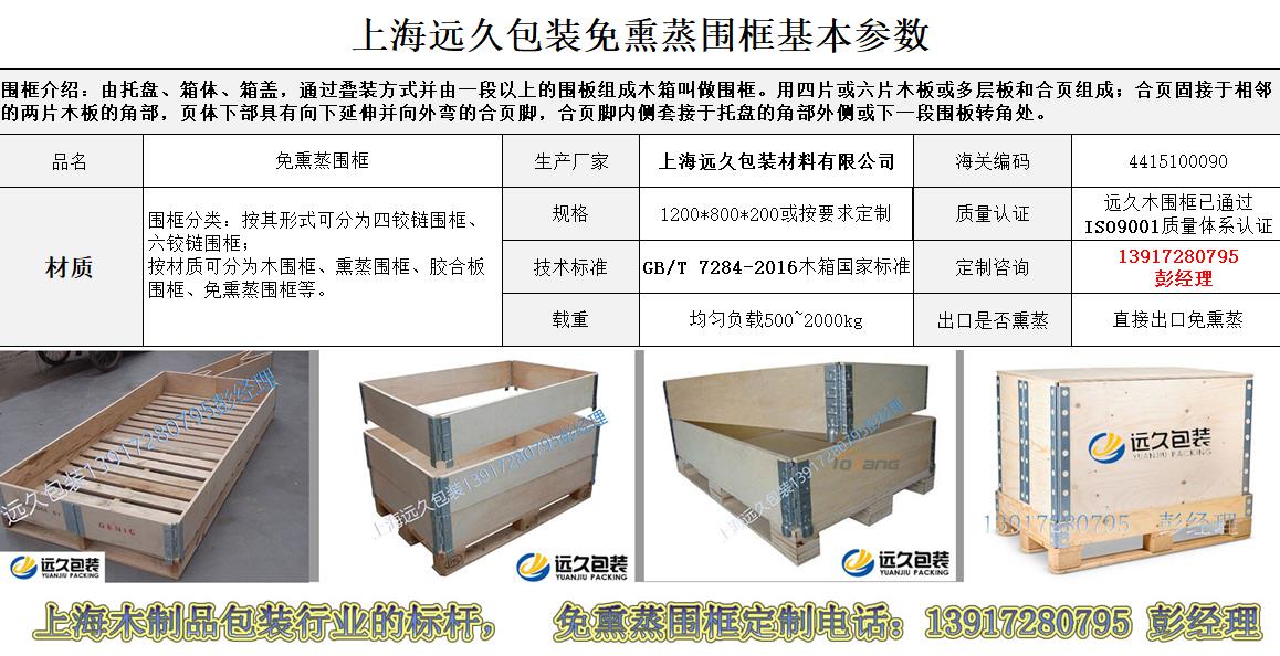
使用過由天然原木制作的木箱包裝產品出口的都知道,這類出口的木箱包裝都要進行熏蒸消毒處理,那么為什么要熏蒸消毒呢?在國際貿易中入境國為了保護自己國家的資源,各國都會對一些進口商品實行強制檢疫制度。  木質包裝的熏蒸和消毒是防止有害病蟲危害進入國內森林資源的必要措施。 因此,含木質包裝的出口貨物必須在裝運前進行除害處理,而熏蒸消毒是除害處理的方法之一。出口熏蒸圍板木箱就是一款由天然原木加工而成的包裝容器,由托盤、箱體、以及箱蓋通過疊裝方式并由一段以上的圍板組成的新型運輸包裝箱,箱體由若干層圍板上下疊加組成。 一層圍板分別垂直于箱底,每一層圍板相鄰的各側板之間通過合頁活動連接;使出口熏蒸圍板木箱可以實現多樣組合,無釘化作業,操作簡易、便捷、安全;其次循環復用,使用壽命長,綜合成本低;然后可折疊、占用空間小、運輸成本低;最后性能穩定,滿足各種物流運輸要求。 隨著經濟發展,人們生活水平不斷提高,在實木木箱的使用上也追求承載力強、實用性更好的產品。圍板木箱方便靈活的標準圍板包裝箱有著無可比擬的優勢。損壞的圍框和蓋子可以進行替換,整體循環包裝系統的投資比較低廉,在正常物流情況下使用壽命則可達十年之久,這也是一種可靠的堅固的可以折疊的包裝系統。













滬公網安備 31011702002672號
 客服